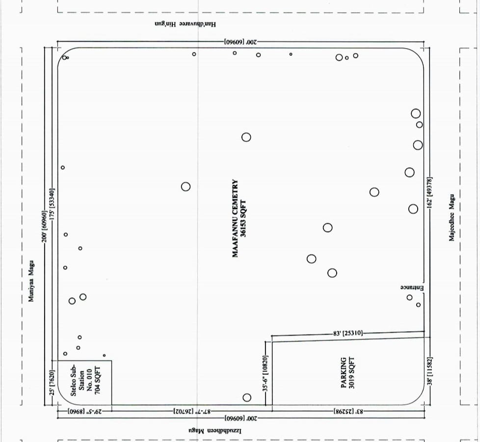
މާލެތެރޭގައި ހުރި މަދު ހުސްބިންތަކުގެ ތެރެއިން އެންމެ ބޮޑު އެއް ބިމަކީ މާފަންނު ސަހަރާއެވެ. މިއީ މާލޭގެ ތާރީޚާ ގުޅިލާމެހިފައިވާ، އަދި މާލޭގައި ދިރިއުޅޭ އެތައް ބައެއްގެ މައިންބަފައިންނާއި ގާތްތިމާގެ ގިނަ ބަޔަކު ވަޅުލާފައިވާ ގަބުރުސްތާނެކެވެ. އެހެންނަމަވެސް، މާލޭ ސިޓީ ކައުންސިލުން ވަނީ އެ ތަނުގައި ހުރި ގަބުރުތައް ނަގައި، އެ ތަން ހުސްކޮށް، އެއްގަމު އުޅަނދުތައް ޕާކުކުރާ ސަރަޙައްދަކަށް ބަދަލުކުރުމަށް ނިންމާފައެވެ. މި ނިންމުމަކީ ގިނަ ބަޔަކު ކަންބޮޑުވާނެ ކަމެއްކަން ޔަޤީނެވެ.
މާލޭގައި އާސަހަރާ ހަދައި 1990 ގެ އަހަރުތަކުގެ ފަހުކޮޅުން ފެށިގެން މާލޭގެ އަވަށްއަވަށުގެ ގަބުރުސްތާނުތަކުގައި މީހުން ވަޅުލުން ވަނީ ހުއްޓާލާފައެވެ. އެގޮތުން މާފަންނު ސަހަރާގައި މީހުން ވަޅުލުން ހުއްޓާލެވުނެވެ. މިއަދާ ހަމައަށް އެތަން އޮތީ ތޮއްޖެހިފައިވާ މާލޭގައި ދިރިއުޅޭ ރައްޔިތުންނަށް ތާޒާ ނޭވާއެއް ލެވެން އޮތް މަދު ހާމަ ބިންތަކުގެ ތެރެއިން އެއްމެ ބޮޑު އެއް ބިމުގެ ގޮތުގައެވެ. މިފަދަ ތަނެއް އެއްގަމު އުޅަނދުތައް ޕާކުކުރާ ސަރަޙައްދަކަށް ބަދަލުކުރުމަކީ ދުރުރާސްތާގެ ޙައްލެއް ނޫނެވެ. މިއަދު އެއްގަމު އުޅަނދުތައް ޕާކުކުރާ ސަރަޙައްދަކަށް ބަދަލުކުރި ނަމަވެސް، ކުރިމަގުގައި އެތަނުގައި އިމާރާތެއް އެޅުމުގެ ފުރުޞަތު އޮތުން އެކަށީގެންވެއެވެ. އަދި ޚާއްޞަކޮށް އެތަނުގައި ހުރި ގަބުރުތައް ނެގިއްޖެނަމަ، މި ފުރުޞަތު އިތުރަށް ފަހިވެގެންދާނެއެވެ.

ވީމާ އެންމެ ރަނގަޅު ފައިދާހުރި ގޮތަކީ މާފަންނު ސަހަރާގެ މިހާރުގެ ސިފަ ހިފަހައްޓައި، އިތުރަށް ގަސްގަހާގެހި އިންދައި ފެހިކަން އިތުރުކުރުމެވެ. މިފަދަ ފިޔަވަޅަކުން މާލޭގެ ރައްޔިތުންނަށް ހިތްހަމަޖެހުމާއި އުފާވެރިކަން ލިބިގެންދާނެއެވެ. އަދި މީގެ އިތުރުން، މާލޭގެ ވައި ސާފުކޮށް، ތިމާވެށި ރައްކާތެރިކުރުމަށްވެސް މަގުފަހިވެގެންދާނެއެވެ.
2018 ވަނަ އަހަރު، ރައީސް ޔާމީންގެ ވެރިކަމުގައި، އޭރުގެ ހައުސިންގ މިނިސްޓަރު އަދި މިހާރުގެ ރައީސުލްޖުމްހޫރިއްޔާ ޑރ. މުޙައްމަދު މުޢިއްޒުގެ އިސްނެންގެވުމުގެ ދަށުން، މާފަންނު ސަހަރާގެ ހުޅަނގު ދެކުނު ފަޅިން ބައެއް ނަގައި، ޕާކިންގ ސިސްޓަމްތަކެއް ޤާއިމުކުރެވުނެވެ. އެކަން އެގޮތަށް ކުރަން އުޅޭ ކަމުގެ ޚަބަރު ލިބިގެން، އަޅުގަނޑު ވާނީ މާފަންނު ސަހަރާގައި ހުރި ލިޔުންތައް ހިމެނޭ ހުރިހާ މަހާނަގަލެއްގެ ފޮޓޯ ނަގައި ޑޮކިއުމަންޓްކޮށްފައެވެ. މިއީ އެތަން ނައްތާލުމުގެ ކުރިން ތާރީޚަށްޓަކައި އަޅުގަނޑު ކުރި މަސައްކަތެކެވެ. މިދެންނެވި ފޮޓޯތަކާއި އޭގައިވާ މަޢުލޫމާތާއެކީ އަޅުގަނޑުވާނީ ސޯޝަލްމީޑިއާގައި އާއްމުކޮށްފައެވެ.

މިހާރު މާލޭ ސިޓީ ކައުންސިލުން ވަނީ މުޅި ސަހަރާ އެއްކޮށް ހުސްކޮށް، އޭގެ ބަދަލުގައި ޕާކިންގ ލޮޓެއް ތަރައްޤީކުރުމަށް ނިންމާފައެވެ. މިގޮތުން، 36،153 އަކަފޫޓުގެ މި ބިން ހުސްކުރުމަށްޓަކައި ބަޔަކު ހޯދުމަށް އިޢުލާނުކޮށްފައިވެއެވެ. އަދި އިސްލާމިކް މިނިސްޓްރީން ވެސް މިކަމުގެ ހުއްދަ ދީފައިވާކަން ފާހަގަކުރެވެއެވެ. އެހެންނަމަވެސް، މިހާ ބޮޑަށް ތޮއްޖެހިފައިވާ މާލޭގައި މިފަދަ ތަނެއް ނައްތާލުމަކީ އެއްވެސް ގޮތަކަށް ކޮށްގެންވާނެ ކަމެއް ނޫނެވެ.

ދީނީ ގޮތުން ގަބުރުތައް ނަގައި މާފަންނު ސަހަރާ ހުސްކުރުމަކީ ކޮންކަހަލަ ކަމެއްތޯ ބަލާއިރު އިސްލާމިކް މިނިސްޓްރީން އެކަން ކުރުމަށް ސިޓީ ކައުންސިލަށް ހުއްދަ ދީފައި އޮތުމުން ބެލެވެނީ އެއީ ދަންނަބޭކަލުންގެ މެދުގައި އެއްވެސް މައްސަލައެއް ނެތް އެންމެ ރަނގަޅު ކަމެއްގެ ގޮތުގައެވެ. އެހެންނަމަވެސް އެއީ ހުރިހާ ދަންނަބޭކަލުން އިއްތިފާޤުވާ ކަމެއް ނޫނެވެ. 2018 ވަނަ އަހަރު މާފަންނު ސަހަރާގެ ހުޅަނގު ދެކުނު ފަޅިން ބައެއް ނަގައި، ޕާކިންގ ސިސްޓަމްތަކެއް ޤާއިމުކުރަން އުޅުނު މަައްސަލާގައި އަޅުގަނޑު ފޭސްބުކްގައި ޖެހި ޕޯސްޓަކަށް ކޮމެންޓްކުރައްވަމުން ރާއްޖޭގެ ދަންނަބޭކަލުންގެ ތެރެއިން މަޝްހޫރު ދަންނަބޭކަލެއް ކަމަށްވާ އަލްއުސްތާޛުއްޝައިޚް މުޙައްމަދު ނަޝީދު އާދަމް ލިޔުއްވާފައި ވަނީ މިފަދައިންނެވެ.
”މުސްލިމުން ވަޅުލެވިފައިވާ ޤަބުރުސްތާނުތަކުގެ ޙުކުމަކީ ވަޤްފު ބިމުގެ ޙުކުމެވެ. އެތާނގައި ވާ ހުރިހާ މުސްލިމުންގެ ކަށިތައް ފީވެ ވެއްޔަށްވެ ނިމިގެން ގޮސްފިނަމަ އެތަން އެހެން ބޭނުމަކަށް ޚާއްޞަކުރެވިދާނެއެވެ. އެކަމަކު އޭގެ ކުރީގައި އެތަނުގައިވާ ކަށިތައް ނަގައި އެހެން ތަނަކަށް ބަދަލުކުރުން ހުއްދައެއްނުވާނެއެވެ.“
މީގައި މިއޮތީ ވަރަށް ސާފު ޞަރީޙަ ޙުކުމެކެވެ. ޔަޤީނުންވެސް އެތަނުގައި ވަޅުލާފައިވާ ހުރިހާ އެންމެންގެ ކަށިތައް ފީވެގެން ވެއްޔަކަށް ނުވާނެއެވެ. އެހެނީ މާފަންނު ސަހަރާއާއި މާލޭގެ އަނެއް ތިން އަވަށުގެ ސަހަރާތަކުގައި މީހުން ވަޅުލުމުގެ ކުރިން މީހުން ވަޅުލައި އުޅުނު މާލޭގެ މިސްކިމިސްކިތުގެ ގަބުރުސްތާނުތައް ހުރި ތަންތަން ކޮންނައިރު އަދިވެސް މިނިކަށިތައް ނެގޭކަމަށްޓަކައެވެ. މިސާލެއްގެ ގޮތުން 2021 ވަނަ އަހަރު ޒިކުރާ މިސްކިތް ހުރި ބިމުގައި ވަގުތީ މިސްކިތެއް ހެދުމަށްޓަކައި އެތަން ކޮނުނުއިރު އެތަނުން ގިނަ އަދަދަކަށް މިނިކަށި ނެގުނެވެ. ޒިކުރާ މިސްކިތަކީ ކުރީގެ މައްޗަންގޮޅީ ބާ މިސްކިތެވެ. އެއީ ބޮޑު ގަބުރުސްތާނެއް އޮތް މިސްކިތެކެވެ. އެ ގަބުރުސްތާނު އުވާލީ ރައީސް އިބްރާހީމް ނާޞިރުގެ ވެރިކަމުގައެވެ.

މާލޭގެ ތާރީޚަށް ބަލާއިރު، ރައީސް ނާޞިރުގެ ވެރިކަމުގައި މާލޭގެ މިސްކިތްތަކުގެ ގަބުރުސްތާނުތައް އުވާލައި، އެތަންތަނުން ގޯތި ދޫކޮށްފައިވެއެވެ. އަދި އޭގެ ފަހުން ރައީސް މައުމޫން ޢަބްދުލްޤައްޔޫމުގެ ދުވަސްވަރުގައި ވެސް މިފަދަ ބައެއް ތަންތަނުން ގޯތި ދޫކޮށްފައިވެއެވެ. އެހެންނަމަވެސް، މިއަދު އަޅުގަނޑުމެން އެފަދަ ނިންމުންތައް ނިންމުމުގައި ވިސްނާލަންޖެހޭ ކަންތައްތަކެއް އެބަހުއްޓެވެ. މާލެއަކީ އޭރުގެ މާލެއެއް ނޫނެވެ. ފުރި ބާރުވެ ތޮއްޖެހިފައިވާ މާލެއެކެވެ. ރައްޔިތުން ނޭވާލާނެ ހާމަ ހުސްބިންތަކެއް ރަށުތެރެއަކު ނެތެވެ.
ދިވެހި ސަރުކާރުންވެސް އަދި މާލޭގެ ރައްޔިތުން ހޮވައިނަގާފައިވާ ސިޓީ ކައުންސިލުން ވެސް ކަންކަން ނިންމާއިރު ބަލަންވާނީ މާލޭގައި ދިރިއުޅޭ މީސްތަކުންގެ އާާއްމު ލާބައަށާއި މަންފާއަށެވެ. އަދި އަންނަ އޮތް ޖީލުތަކުގެ އާާއްމު ލާބައަށާއި މަންފާއަށެވެ.



